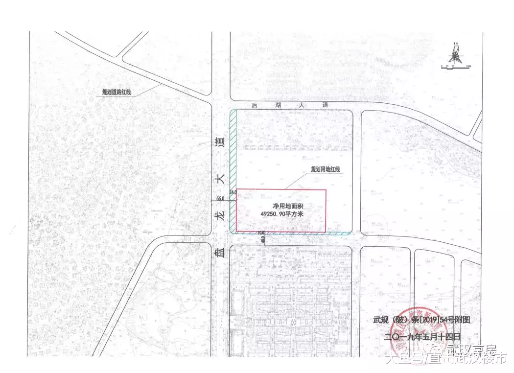
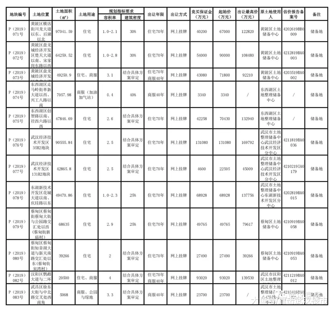
【土拍快报】黄陂3宗地、经开蔡甸各1宗地熔断;武昌滨江商服再次流拍

【土拍快报】黄陂3宗地、经开蔡甸各1宗地熔断;武昌滨江商服再次流拍

----【土拍快报】黄陂3宗地、经开蔡甸各1宗地熔断;武昌滨江商服再次流拍//----

【土拍快报】黄陂3宗地、经开蔡甸各1宗地熔断;武昌滨江商服再次流拍

----【土拍快报】黄陂3宗地、经开蔡甸各1宗地熔断;武昌滨江商服再次流拍//----

【土拍快报】黄陂3宗地、经开蔡甸各1宗地熔断;武昌滨江商服再次流拍

特别声明:本站内容均来自网友提供或互联网,仅供参考,请勿用于商业和其他非法用途。如果侵犯了您的权益请与我们联系,我们将在24小时内删除。