自从诸葛亮躬耕地之争以来,多都是在玩文字游戏 。用之乎者也打马虎眼,用文字游戏把水搅浑,然后浑水摸鱼,达到以假乱真的目的 。今天,用通俗易懂的,实事求是的,排除一切“之乎者也”用老百姓能听懂、能看懂的科普方法解读诸葛亮躬耕地之争的原委,以释真假 。
争论的最原始的起因是,诸葛亮给后主写的奏章,要去匡扶汉室,出征的理由说明,后人称为出师表 。里面有这样的叙述自己的过去:臣本布衣,躬耕于南阳,苟全性命于乱世,不求闻达于诸侯......本来这样的叙述中躬耕于南阳也没啥可争的,但是到了明朝末年起义军攻打襄阳城时,在现在的“古隆中”做屯兵处,嫌襄简王墓地晦气加上对明朝的不满,遂破坏了襄简王(明襄阳王爷)的墓地,借襄阳人习凿齿一句话:亮家于襄阳西二十里的号曰隆中 。给引发诸葛亮躬耕地之争,找到了地理空间 。
由于诸葛亮:鞠躬尽瘁死而后已的忠君思想备受封建社会的认可和大力宣扬,包括神话在内,在社会上达到了家喻户晓、妇孺皆知的地步,如在三国演义中把并未出茅庐的孔明也写了参与“火烧博望坡之战”这就是典型的美化诸葛亮的手法 。有这样的名人影响力,就激发了人们对他一生中重要生活地、重大事件发生地、躬耕地、故居、寓居,亲朋好友、等出现了包括演义在内的历史记载、传说、正史、野史、号曰,层出不穷 。由于襄简王墓地的破坏和利用号曰隆中为理由,拉开了号曰隆中和南阳卧龙岗诸葛亮躬耕地之争的序幕 。
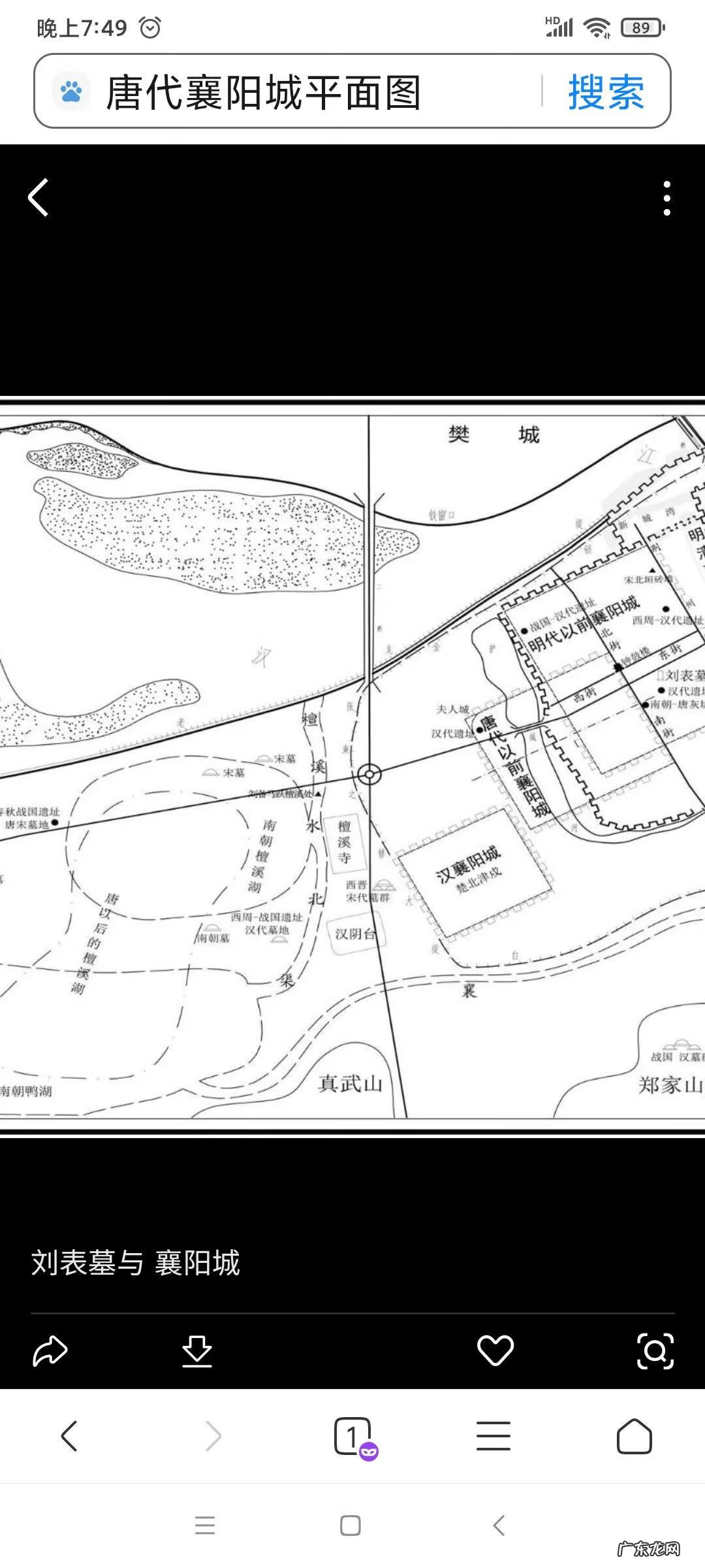
按照习凿齿说的,号曰隆中在襄阳西二十里是真的诸葛亮故居或躬耕隆中?我们就先找到诸葛亮躬耕时期的古襄阳城 。大家一起去看看襄阳城西二十里到底有没有这个号曰的隆中!

文章插图
【风水宝地大全图 风水宝地之争】
通过上图的古襄阳城西,不论是公里还是市里还是汉制里都找不到这个号曰的隆中!这是揭穿造假谎言,有力证据之一!
有力证据之二,“古隆中”这块地儿,实际在有真正历史记载 。他是唐贞观年间建的云居寺所在地 。其他啥也没记载 。到明朝的襄简王通过阴阳先生得知 。云居寺的墻外面是个阴宅风水宝地,所在这个襄简王墓地就选建到了这里,并迫使云居寺搬迁更名为广德寺 。这个有历史记载和实物为证,有现在的广德寺石碑碑文为证 。为啥要提这个云居寺和广德寺呢?是因为襄简王墓地迫使云居寺搬迁更名,为啥没有诸葛亮故居躬耕地的搬迁呢?!说诸葛亮躬耕地、故居不重要吗?!还是被人把拆迁补偿给贪了?!大家想一想:此时的“古隆中”还没杜撰出来呗!封建社会极力吹捧的、大力宣扬的、家喻户晓的人物纪念场所被破坏,不给拆迁安置?!合理不?况且有云居寺的拆迁安置啊!能忘记这么个名人,而且是被吹嘘的当地名人啊!咋可能出现遗漏呢?!!!
这个问题的间接说明:如果真的此地是诸葛亮躬耕或故居 。那就是说,唐贞观年间建的云居寺是跟诸葛亮躬耕地、故居是邻居啊!历经八百多年吧?!近千年啊!没任何记录,包括地方志、正史、野史、号曰、唐诗、宋词、元曲都没一点“拜罢诸葛居又游云居寺”痕迹出来!
其三,造假太明显也是暴露是“古隆中”的致命点之一 。举一个例子,只要眼睛能看见的人,一看就知道,关键是太粗制滥造了,实图为证!

文章插图
大家看看上下这两个实景图片“古隆中”的草庐亭,砖瓦结构的!两层!可是不能拿襄简王墓地的墓亭直接挂上牌子就成了草庐亭了!
- 风水古书对莲花地图片 风水莲花的喝形
- 徐宏昊风水大师 潘石屹 风水
- 姓林的男孩名字大全 林姓男孩的名字
- 女性青春痘治疗 女孩青春痘治疗方法
- 平安夜的礼物图片 平安夜礼物图片真实图片
- 气功网站 道家养生气功网
- 淘宝主图优化需要下架吗
- 小学教师座右铭大全 励志 小学教师的座右铭
- 烟酒商行起名大全 烟酒商贸公司起名大全
- 简短座右铭大全 励志 简短的座右铭大全
特别声明:本站内容均来自网友提供或互联网,仅供参考,请勿用于商业和其他非法用途。如果侵犯了您的权益请与我们联系,我们将在24小时内删除。
