
文章插图
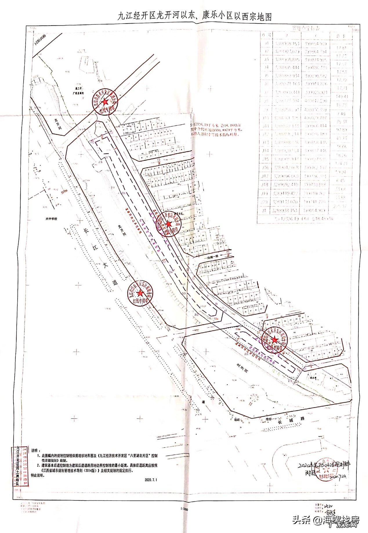
DGD2020014地块详情地块位于九江经开区龙开河以东、康乐小区以西,属于商业用地 。

文章插图
地块面积:18.4893亩
土地用途:商业用地
出让年限:商业40年
容积率(FAR) FAR≤1.2
建筑密度(D) D≤50%
挂牌截止时间 2020-10-29 16:00

文章插图
其他要求:
1、 出让用地范围内的约534.9平方米道路用地不纳入容积率等技术指标核算 。
2、 不得建设"服务型公寓" 。

文章插图
该地块从位置来看,周边生活氛围浓厚,人气佳,周边成熟的配套体制,非常适合用于商业规划,起始楼面价为3750元/㎡ 。

文章插图
DGD2020015地块详情地块位于九江经开区龙开河以南、玉兰苑以北,属于居住用地(服务设施用地)

文章插图
地块面积:7.0569亩
土地用途:居住用地(服务设施用地)
出让年限:50年
容积率(FAR) FAR≤1.2
建筑密度(D) D≤40%
绿地率(GAR) GAR≥20%
挂牌截止时间 2020-10-29 16:00

文章插图
其他要求:
1、 出让用地范围内的约1294.34平方米公共绿地不纳入容积率等技术指标核算 。
2、 该地块仅能布置幼儿园、社区用房、社区卫生服务站、社区文化活动站、文化体育设施、公用设施等与居住配套相关的服务设施 。
3、 建筑限高:不大于24米 。

文章插图
该地块虽为居住用地,但是我们从使用要求中可以看到,该地块仅能布置与居住配套相关的服务设施 。而出让年限为50年,也与居住用地的70年出让年限不同 。地块起始楼面价为:750元/㎡ 。

文章插图
【绿都金科和宁文华府口水 荷花垄美的金科华府风水】四宗地块到这也就全部介绍完毕,让我们一起期待10月底的土拍大战,我是海螺,为你编辑最新的九江房产信息 。
- 饭店推出火锅广告语 关于火锅店的广告语
- 家里一般都可以供什么神位好 风水神位在哪个方位好图解
- 最喜欢养花的生肖都有哪些
- 怀孕初期吃黄鳝要滑胎?
- 速卖通注册账号都是英文吗?不会英语怎么办?
- 广西沙糖桔网 沙糖桔网图
- 大同市魏都医养康复中心
- 什么绿植除甲醛最好图片 什么绿植除甲醛最好
- 养牛场牛粪污水处理最新技术
- 闲鱼卖家怎么赚钱 闲鱼淘客如何赚钱
特别声明:本站内容均来自网友提供或互联网,仅供参考,请勿用于商业和其他非法用途。如果侵犯了您的权益请与我们联系,我们将在24小时内删除。
