未售部分拆除重建?时隔多年,福州润华山庄规划增容拟落地
----未售部分拆除重建?时隔多年 , 福州润华山庄规划增容拟落地//----
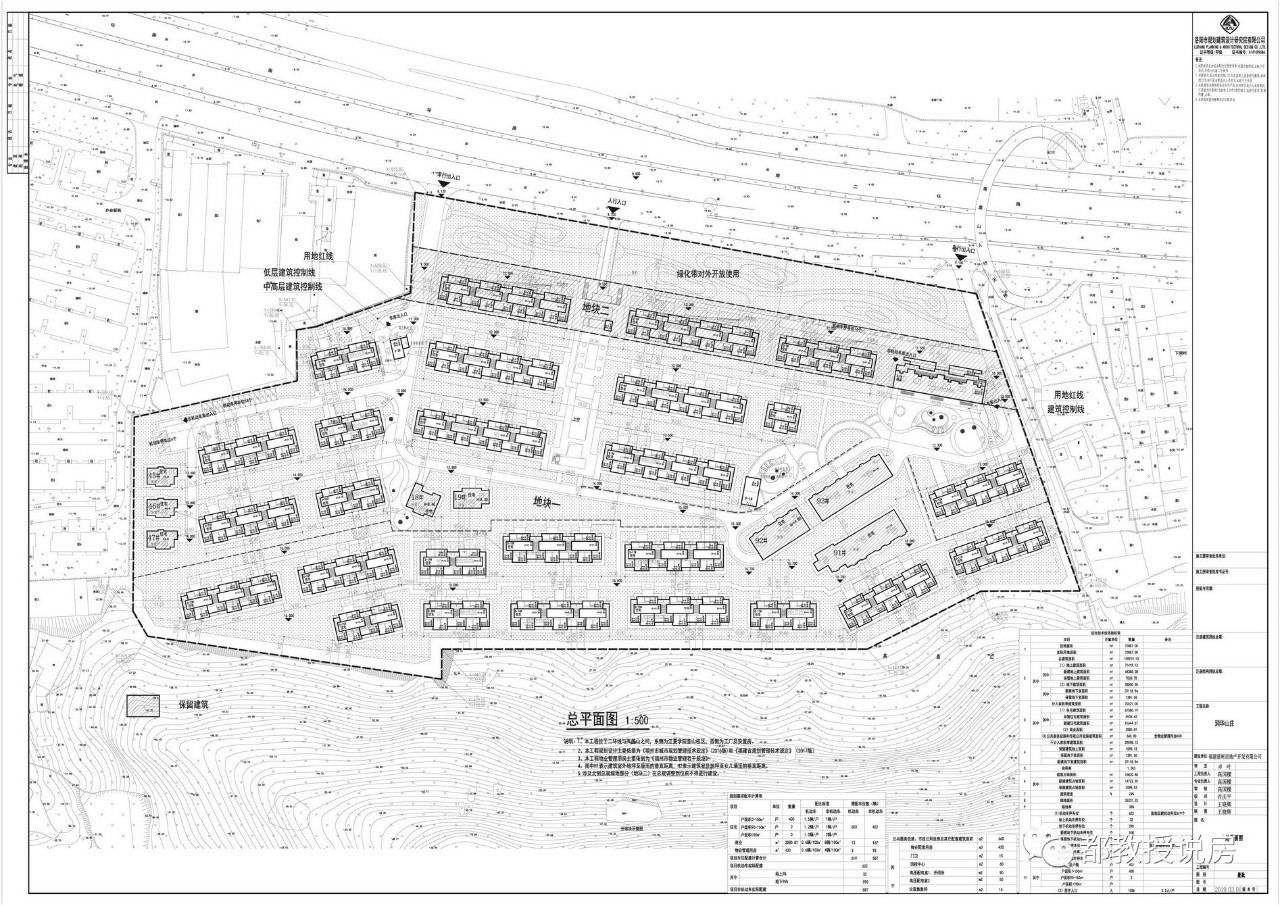
2019年3月15日 , 福州市规划局发布润华山庄项目公示 。 该项目位于仓山区二环南路南侧 , 高盖山北侧 。 建设单位为福建建树房地产开发有限公司 。 项目实用地面积70087平方米 , 大部分建筑已核发《建设工程规划许可证》 , 现已竣工和在建中 。 因规划调整 , 福州市规划局依据市政府有关文件精神于2012年4月重新出具了该项目的规划设计条件函 。
特别声明:本站内容均来自网友提供或互联网,仅供参考,请勿用于商业和其他非法用途。如果侵犯了您的权益请与我们联系,我们将在24小时内删除。
