肠梗堵是犬猫都能够产生的一种急腹症,救护若不立即,很可能会严重危害萌宠的性命,那麼这类病症是怎么产生的,都有什么症状,做为萌宠主人家的你又可以为它做些什么?文中将从肠梗堵产生的缘故,医治,确诊及手术治疗常见问题等层面详细介绍肠梗堵 。
一、肠梗堵
结肠肠管产生反射性堵塞或结肠一切正常生理学部位产生不可逆的转变 。病发位置关键为结肠 。产生肠套叠、嵌闭和扭曲都可以导致肠梗堵 。
肠套叠是指肠前后左右肠蠕动速率不一,一段肠道套进两者之间相接的一段肠道的状况 。
二、病例分析
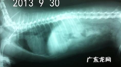
二零一三年9月30日号,一个vip由于强烈反胃被送至宠物诊所就医,触诊腹腔有痛感,而且有祷告状,最开始刚开始猜疑可能是肝部或是是肝胀难题,做全套生物化学检验和血常规检查,均无异常现象 。提议保守治疗观查,历经一次医治,回来依然反胃 。第二天提议拍攝X光片 。

文章插图
x光图
患犬右侧卧,从X光片沒有见到出现异常

文章插图
x光图
孕妇左侧睡,从x光片沒有见到异常现象 。
在孕妇左侧睡和右侧卧均沒有看得出出现异常的状况下,提议主人家灌服钡餐

文章插图
x光图
灌服钡餐半小时后,钡餐关键在胃内 。孕妇左侧睡
灌服钡餐九十分钟后,钡餐仍在胃内,向胃的幽门方位流去,孕妇左侧睡

文章插图
x光图
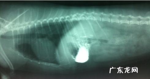
灌服钡餐15个钟头以后,右边位,钡餐在胃内残余一部分,剩下来到乙状结肠位置,一切正常状况在灌服钡餐15个小时后,都把乙状结肠一部分走完或是是到十二指肠 。可基础判断在乙状结肠位置产生堵塞,使钡餐不可以流到肠道后段 。

文章插图
x光图

文章插图
肠内取下的套胶
从肠道里取下来的套胶,事肠道产生堵塞 。(该病案和照片由刘上飞医师出示)
三、医治
诊断为肠梗堵后,根据手术医治 。分辨梗塞的部位,执行手术治疗 。
四、手术后保养
针对肠梗堵而言,由于变病产生在肠道,为避免 感柒,推动肠道的生长发育,术后依然必须忌食禁饮3-5天,忌食的几日可根据打点滴补充维生素和精力 。忌食期之后,一般喂养一些较为易于消化的流质食物,例如水果罐头、专用型婴儿奶粉等 。由于胃肠作用还不起作用恢复过来,喂养含蛋白质量高,不容易消化吸收的食材是不可取的 。
五、有关确诊
1.常规体检
针对肠梗堵关键是取决于确诊 。确诊的方式有一般的血项查验便是血常规化验、生化检查、气血查验,血常规化验从总体水准分辨萌宠人体情况,生化检查评定心肾脏肝胀每个器官的作用,清除一些病症的另外,也依据这种指标值分辨手术治疗的风险性,气血查验分辨身体每个正离子的是多少,评定身体强酸强碱是不是均衡,为术后打点滴做具体指导 。
2.影像诊断查验
起先孕妇左侧睡一张X光片,沒有观察出来有脏东西后,又干了右边位一张X光片,一样沒有观查到脏东西 。此病案中影像诊断中X光的拍攝对萌宠的主人家而言可能是异议较大 的,由于拍攝的影片许多,针对这类查验,有时只观查一个方向是不可以对病症有充足的了解,协同不一样的方向观查会出现不一样的实际效果 。针对灌服钡餐的病案,一般必须灌服灌服钡餐三十分钟后拍攝一次以明确钡餐进到胃内,观查钡餐在肠胃内挪动的间距 。之后再拍攝的X光片的时间间隔跟据钡餐流动性的速率明确,假如钡餐流动性的速率过快,就减少拍攝的间距,假如流动性迟缓就把时间间隔变长 。病案不一,拍攝的钡餐X光片数量并不相同 。
特别声明:本站内容均来自网友提供或互联网,仅供参考,请勿用于商业和其他非法用途。如果侵犯了您的权益请与我们联系,我们将在24小时内删除。
